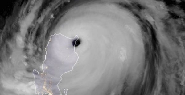
Des centaines de vols ont été annulés suite aux violentes bourrasques de vent qui ont accompagné dimanche l’arrivée du puissant typhon Mangkhut à Hong Kong, et dans la province chinoise de Guangdong.
Selon l’Autorité aéroportuaire de Hong Kong, 889 vols ont été annulés dimanche à cause de la tempête. Les transports étaient totalement à l’arrêt puisque le service de train et de bus Airport Express de la ville avait aussi été suspendu. Cathay Pacific qui s’attendait à de «graves perturbations» et a indiqué ne reprendre ses opérations que ce lundi, à 4 heures du matin heure locale, la compagnie aérienne ayant annulé plus de 400 vols. Les compagnies aériennes Cathay Dragon et Hong Kong Airlines ont également cloué au sol leur flotte dimanche.
AirAsia Group a déclaré que l’interruption des services se poursuivait jusqu’à ce lundi, après avoir notamment annulé dimanche des vols à destination et au départ de Hong Kong, Macao, Guangzhou, Shenzhen et Shantou (+ 29 vols annulés samedi). De son côté, Philippine Airlines a annulé dimanche 10 vols internationaux. Air Belgium avait de son côté pris soin de décaler son arrivée d’une journée à Hong Kong (de dimanche à lundi).
Même haut taux d’annulations du côté des compagnies chinoises telles que China Southern Airlines ou China Eastern Airlines. Quant à Air China, elle a annulé plus de 200 vols, principalement à destination et en provenance du Guangdong, du Guangxi, de Hong Kong et de Hainan, à partir de 14h dimanche.
Le typhon Mangkhut était considéré comme le typhon plus puissant de l’année avec des rafales de 256 km/h et des vents soutenus à 189 km/h.

Gutre a commenté :
18 septembre 2018 - 9 h 00 min
Encore une bonne excuse pour Air France de ne pas faire voler quelques avions!
pino artes a commenté :
18 septembre 2018 - 14 h 33 min
n’importe quoi comme commentaire!
Tony a commenté :
19 septembre 2018 - 12 h 07 min
Je devais voler sur MNL via HKG avec BA le 15, annulation la veille…Finalement BA a pu me reprogrammer (après mon appel) le même jour le trajet via KUL, super…Pas de soucis météo sur le trajet, temps clair à l’arrivée sur MNL le 16, le typhon frappait à ce moment là HKG. Merci BA !! Par cintre service moyen en ECO pour mon premier long courrier avec cette compagnie…